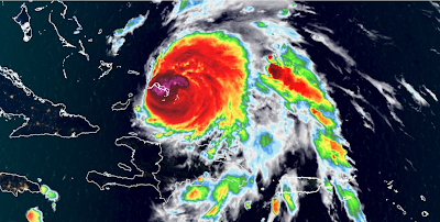
Non ci attendevamo l’ingresso di Fiona nel
territorio dominicano. Di fatto, verso le ore 19:00 di domenica alla presenza
del Presidente della Repubblica, il COE ha sostenuto che l’occhio dell’uragano
non sarebbe entrato in territorio dominicano. Tant’è vero che la nostra
ambasciata verso quell’ora ha diramato un comunicato in cui informava i
connazionali che “salvo cambi di traiettoria nelle prossime ore il centro
dell’uragano Fiona passerà a est dell’isola e non dovrebbe colpire direttamente
la Repubblica dominicana”. L’ambasciata si atteneva con cautela alle
informazioni del COE.
Si direbbe che le autorità dominicane abbiano
seguito gli orientamenti del NHC di Miami. Invece, apprendiamo ora che il
meteorologo dominico-americano John Morales sostiene che il NHC di Miami ha
notificato al centro meteorologico di Punta Cana che l’occhio dell’uragano sarebbe
passato per il Seybo, Hato Mayor e Higuey. Questa informazione ha consentito agli albergatori di trovarsi
pronti all’impatto di Fiona.
Ci si chiede come mai il centro di meteorologia e di
rilevamento di uragani di Punta Cana non abbia condiviso le informazioni di cui
era in possesso e qualora l’avesse fatto per quale motivo le autorità
dominicane non le abbiano diffuse. Sta di fatto che la popolazione del posto è
rimasta indifesa anche perché se in una conferenza stampa nella quale
partecipava il presidente si era sostenuto che l’uragano non sarebbe passato,
riteneva di poter dormire sonni tranquilli e non poteva essere altrimenti.
